Skada barn: Fysiolysis caput femoris (barn)
Synonymer (barn)
- Höftfysiolys
- Epifysiolys i höft
- Höftfyseolys
- SCFE = Slipped Capital Femoral Epiphysis
- POH = Physiolysis of the hip
Definitioner (barn)
- Stabil fysiolys
- Instabil fysiolys - kan inte belasta benet pga smärta trots två kryckor. Ger större risk för avaskulär nekros. [4]
Symtom (barn)
- Vanligast i åldrar 9-15 år, oftare pojkar, flickor yngre än pojkar. [1]
- Hälta och smärta i ena eller båda ljumskarna, låren eller knäna. [1]
- Kan ha smygande eller akut debut. [2]
- Går med ena höften utåtroterad. [1]
- Nedsatt förmåga till inåtrotation i höft. [3]
- Vid flexion i höft utåtroteras och abduceras höften automatiskt (Drehmann's sign).
- Håller höften utåtroterad vid maximal passiv flexion höften. [1, 2]
- Smärta vid passiv inåtrotation [4]
Diagnos (barn)
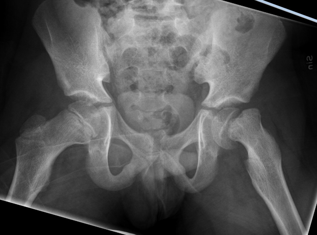
- Slätröntgen [1] av bäcken i "Lauensteinprojektion" (grodläge) och båda höfterna.
- Kleins linje - en linje längs med kollums laterala sida på frontalvy - ska gå genom kaput.

Fysiolys vänster höft akut, efter primär operation resp. innan spikextraktion efter 6 år
Handläggning i primärvård (barn)
- Uteslut andra akuta tillstånd såsom septisk artrit och osteomyelit.
- Vid misstanke: akut röntgenundersökning [1] av bäcken i "Lauensteinprojektion" (grodläge) och båda höfterna.
- Vid normal röntgenbild: låt patienten belasta benet till smärtgräns, ny röntgenundersökning om 3 månader vid fortsatta besvär. [1]
- Vid patologisk eller svårtolkad röntgenbild: akut remiss till ortopedklinik. [1]
På ortopedklinik (barn)
- Inläggning, avlastning, förbered för operation med spikning [3], helst under följande dag.
- Operation med:
- Försiktig reposition vid akut fysiolys, ingen reponering alls vid längre anamnes [3]
- T.ex. LIH-spikning med 1 eller 2 spik, incision betydligt mer anteriort än vanligt, spikarna riktas mer posteriort [3]
- Ofta profylaktisk spikning kontralateral sida pga. upp till 80 % risk för bilateral fyseolys [3]
- Avlastning ca 6 veckor [3]
- Extraktion av spik/spikar efter att fysen slutits [3]
ICD-10 (barn)
- S72.00: Kollumfraktur-sluten
Referenser (barn)
- Ansvarsfördelning mellan primärvård och ortopedisk specialistvård - barn och ungdomar (besökt 2019-09-15)
- Kompendium i Barnkirurgi och Barnortopedi (ISBN 978-91-85565-77-1)
- Barnortopedi av Henrik Düppe och Acke Ohlin (ISBN: 978-91-44-03584-0)
- Lakartidningen.se 2023-04-06 (besökt 2023-11-02)
Uppdaterad: 2024-11-20 19:35:10 av Lars Johanson